Expanded GPS, XGPS, Virtual Reality World. Virtual Reality Displays, 3d world, Stereo World, huge database of every meter, foot, feet, inch, Virtual Reality World, Virtual Reality NYC, Virtual Reality Manhattan, Virtual Reality London, Virtual Reality Paris, Rome, France, England, UK, Japan, Virtual Reality Tokyo, Las Vegas, Washington DC, Chicago, Boston, Boulder, Moscow, Warsaw, Kyoto, Osaka, Saporo, 3D Stere, Lisbon, Madrid, Frankfurt, Heidelberg, Hamburg, Berlin, Minsk, Russia, Germany, Virtuality, XGPS, Special Cameras, Satellite Technologies, Investigations, Cell Phones, Handy, mobile, utilities. Utility.
Virtual Reality World--Available today.
Drive or walk through any city -- on your agency's or company's network. In some
cases, click a button and see the city as it was, building after building, 60 years ago.
51 Largest Cities on the Planet
New York site

Using ExpandedGPS™ technology pat pend.
www.expandedGPS.com

PHOTOGRAPHS, of every building and lot, one after another, in an unbroken sequence, in every major city on the planet from street level and from the air, using our special world wide patented indexing digital stereo 3D cameras. In use now by the largest utilities, telephone companies,mapping companies, financial concerns and game companies, world wide. Contact us (implementation@expandedgps.com) regarding how you can incorporate our technology into your environment. www.expandedgps.com

Be sure to visit www.NYCinPictures.com to see individual photographs of buildings in New York City, Tokyo and other areas

 "A historic treasure that will be in use for generations to come"

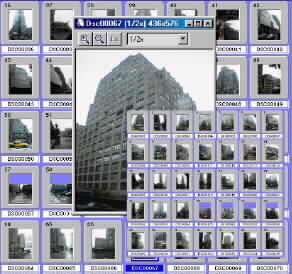
The soon to be released Virtual Reality NYC database is super simple to use. With your mouse, simply point and click on the street that you wish to view. Immediately, you will see a photograph of almost every, if not every building on the street. Click and a particular building and it instantly enlarges!!


"Remarkable resource for the real estate and construction industry"

PLEASE NOTE: The soon to be released Virtual Reality NYC database covers the area south of 96 Street on the East Side and South of 125 Street on the West side. A new norther Manhattan CD-ROM is being developed and is expected to be completed later in the year. Bronx, Brooklyn, Queens and Staten Island is scheduled for release in mid 2003

Can I use the photograph is magazines, newspapers, catalogs, news stories or ads? What are the costs? All of the photographs on the CD will be publishable, on a non-exclusive basis, for a set fee. The fee will depend on a variety of factors including the circulation or viewers of the medium, if the photograph is being used on a front, back or inside cover and if the medium is a daily or monthly or is being used for a catalog, annual report or mailer. The exact rate schedule, which is subject to change, will allow for a one time use. A unique feature of our system is that royalty payments for the photograph will be able to be paid over the internet via credit card, anytime day or night (unless the photograph is being used for a special purpose, that is not covered on the payment page. In that case, the user will have to call our 24 hour telephone number or will have to send an email, for a price quote.).
As remarkable as this product is, who can benefit from it? Everyone. This includes real estate professionals, insurance professionals, lawyers, historians, the press including newspapers, book publishers, magazines and other mediums, investors, police, fire departments, building officials, title companies, architects, apartment seekers, public and city planners, tourists, shoppers, local government officials and almost everyone else.

Are the photographs in stereo or 3D? Yes. Each building is shot from multiple angles which can provide full stereographic images.

 

Virtual Reality World The Ultimate goal of this project is to create a seamless, virtual reality environment for the 51 largest cities on this planet. In the future, with our patented system, the user will be able to "drive", with their mouse, down any street, look at any building and, with a click of the mouse, see a list of all businesses and tenants in the building, including what they produce, their phone number and more. In addition, the user will be able to click on the business or tenant and go directly into their website. We will charge a small percentage of any item purchased over the net. We believe that this fee will be comparable to current credit card charges (2-5% of the total sale).

Photographs copyright by Frank X. Didik, All rights reserved. United States and foreign patents pending or granted.

Terms and conditions of license

Is your Building or Store Shown? Order a link to your website so that people browsing the CD can quickly click right into your store or building!

NYCinPictures.com
Photographs copyright by Frank X. Didik.
All rights Reserved.
United States and foreign patents pending or granted

Do you need a photograph of a New York City street scene or building for advertising, editorial use or personal use? Chances are that we have it on file and can quickly email it to you or send you a cd-rom or print. Please contact us outlining your needs. If you are a member of the media, you can request a special 24 hour telephone number in which we can supply you with immediate photographs anytime, day or night. All photographs provided are subject to our Terms of Usage.

You can reach us by e-mail at inquiry@news1.net
www.expandedgps.com

Consider what people have been saying about the new soon to be released Virtual Reality NYC database:

"A historic treasure that will be in use for generations to come",

"A must for anyone interested in architecture",

"Remarkable resource for the real estate and construction industry"

"long over due for the tourist industry"

Interesting Professional New York City Real Estate related links:
NYC Real Property Database CD-ROM Information on every property in all five boroughs of New York City. Over 1 million records.
Historic photographs of most buildings in NYC from 1936-41 These photographs were shot as a WPA project and shows amazing views of New York City in the mid to late 1930's.
Nassau County
Suffolk County Nassau and Suffolk Counties are contained on a single CD-Rom disk (2 for 1) and contains information on almost all properties in the two counties.
Westchester County
Rockland County Westchester and Rockland Counties are contained on a single CD-Rom disk (2 for 1) and contains information on almost all properties in the two counties.
Orange County
Putnam County
Sullivan County Orange, Putnam and Sullivan Counties are contained on a single CD-Rom disk (2 for 1) and contains information on almost all properties in the three counties.
Ulster County
Dutchess County Ulster and Dutchess Counties are contained on a single CD-Rom disk (2 for 1) and contains information on almost all properties in the two counties.